Tufão se aproxima de ilhas no sul do Japão
Ventos com velocidade de até 144 quilômetros por hora devem atingir as ilhas de Yaeyama

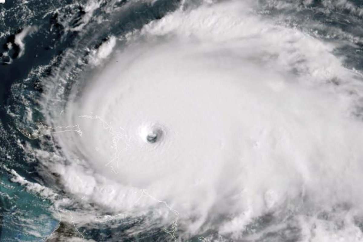
Foto: Reprodução/AFP PHOTO/NOAA
Um alerta foi realizado pelos meteorologistas no Japão, para ventos violentos e mar agitado por conta da aproximação do Tufão Mitag, que deve passar nesta segunda-feira (30) perto das ilhas de Sakishima, localizadas na província de Okinawa, no sul do país.
Com isso, a Agência de Meteorologia do país informou que hoje cedo o Mitag estava se movendo em direção ao noroeste sobre as águas ao sul da Ilha Yonaguni, também pertencentes à Okinawa, a uma velocidade de 20 quilômetros por hora.
A previsão é de que ele ganhe força enquanto se aproxima do arquipélago de Sakishima.
Ventos com velocidade de até 144 quilômetros por hora devem atingir as ilhas de Yaeyama, com rajadas de vento de até 198 quilômetros por hora. Existe a possibilidade de que ondas com altura de até 10 metros atinjam as ilhas.
Além disso, a agência está alertando para a possibilidade de alagamentos e elevação repentina do nível do mar, além de ventos fortes e ondas gigantes.


